Amtliche Bekanntmachung - Bebauungsplan Nr. 200 "Sondergebiet Tierhaltungsanlagen" 9. Änderung

Amtliche Bekanntmachung
Bauleitplanung der Gemeinde Geeste;
Inkrafttreten des Bebauungsplanes Nr. 200 „Sondergebiet Tierhaltungsanlagen“, 9. Änderung
Der Rat der Gemeinde Geeste hat in seiner Sitzung am 20.06.2024 den Bebauungsplanes Nr. 200 „Sondergebiet
Tierhaltungsanlagen“, 9. Änderung einschließlich der Begründung gemäß § 10 Abs. 1 BauGB
als Satzung beschlossen.
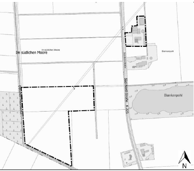
Der Geltungsbereich des Bebauungsplanes Nr. 200 „Sondergebiet Tierhaltungsanlagen“, 9 Änderung
liegt westlich zur Süd-Nord-Straße im Ortsteil Dalum der Gemeinde Geeste.
Der Geltungsbereich des Bebauungsplanes ergibt sich aus dem nachstehenden Kartenausschnitt (Quelle:
Auszug aus den Geobasisdaten der Niedersächsischen Vermessungs- und Katasterverwaltung © 2022
Der Bebauungsplan liegt einschließlich der Begründung nebst Zusammenfassender Erklärung ab sofort
unbefristet während der Dienststunden im Rathaus der Gemeinde Geeste, Fachbereich Planen und Bauen,
Zimmer C 3, öffentlich aus und kann dort von jedermann eingesehen werden. Ergänzend wird er in das
Internet eingestellt (www.geeste.de) und über ein zentrales Internetportal des Landes zugänglich gemacht.
Mit dieser Bekanntmachung ist der Bebauungsplanes Nr. 200 „Sondergebiet Tierhaltungsanlagen“, 9.
Änderung einschließlich der Begründung gemäß § 10 Abs. 3 BauGB rechtskräftig geworden.
Auf die Vorschriften des § 44 Abs. 3 Satz 1 und 2 sowie Abs. 4 BauGB über die Entschädigung von durch
den Bebauungsplan entstehenden Vermögensnachteilen sowie die Fälligkeit und das Erlöschen entsprechender
Entschädigungsansprüche wird hingewiesen.
Es wird weiter darauf hingewiesen, dass die Verletzung der im § 214 Abs. 1 Satz 1 Nr. 1 bis 3 BauGB
bezeichneten Verfahrens- und Formvorschriften, eine unter Berücksichtigung des § 214 Abs. 2 beachtliche
Verletzung der Vorschriften über das Verhältnis des Bebauungsplanes und die nach § 214 Abs. 2 a
beachtlichen Fehler sowie nach § 214 Abs. 3 Satz 2 beachtlichen Mängel des Abwägungsvorgangs nur
beachtlich sind, wenn sie innerhalb eines Jahres seit Bekanntmachung des o. g. Bauleitplanes schriftlich
gegenüber der Gemeinde Geeste, Am Rathaus 3, 49744 Geeste-Dalum, geltend gemacht worden sind.
Der Sachverhalt, der die Verletzung begründen soll, ist darzulegen.
49744 Geeste, den 21.06.2024 Gemeinde Geeste
Der Bürgermeister
Höke