
Bekanntmachung
Bauleitplanung der Gemeinde Geeste
Bebauungsplan Nr. 4 „Wochenend- u. Erholungsgebiet“, OT Klein Hesepe, 5. Änderung
- Aufstellungsbeschluss nach § 2 Abs. 1 des Baugesetzbuches (BauGB)
Der Verwaltungsausschuss der Gemeinde Geeste hat in seiner Sitzung am 03.12.2024 die Aufstellung des obenstehenden Bauleitplanes beschlossen. Der Aufstellungsbeschluss wird hiermit gemäß § 2 Abs. 1 BauGB bekannt gemacht.
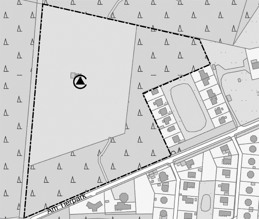
Das Plangebiet liegt nördlich zur Straße „Am Tierpark“ im Ortsteil Klein Hesepe der Gemeinde Geeste. Der Geltungsbereich des Bebauungsplanes ergibt sich aus dem nachstehenden Kartenausschnitt (Quelle: Auszug aus den Geobasisdaten der Niedersächsischen Vermessungs- und Katasterverwaltung © 2024 ):
Geeste, den 04.12.2024
Der Bürgermeister
(Höke)